Plaça de la Vila

patrimoni_placa-de-la-vila-2.jpg

Des del segle X, el territori del Prat anava rebent pobladors, especialment en les èpoques de crisi i de creixement demogràfic, que s’instal·laven en modestes barraques disperses pel Delta.

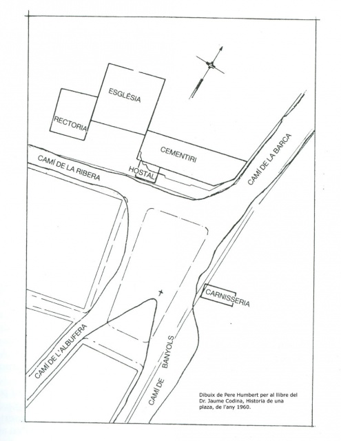
El 1418 es concedeix a Bernat Gual el dret de tallar i vendre carn. La situació de la carnisseria és estratègica: al peu de la carrera Bovatera, transitada pels ramats de bens, i a prop del camí de la Barca. No gaire lluny de la carnisseria, a partir del 1544, data de la concessió de la butlla papal, es comença a aixecar l’església parroquial. Aquestes incipients construccions són l’origen de la futura plaça de la Vila i del futur nucli urbà. Prop de la carnisseria, l’any 1587, s’obre l’hostal, per allotjar els peons que treballen a l’obra de la parròquia i que servirà també de taverna i fleca.

patrimoni_planol-placa-de-la-vila.jpg

Entre 1720 i 1740 comencen a construir-se les primeres cases al voltant dels antics edificis de la plaça. Al llarg del segle s’anirà formant el primer carrer del poble, l’únic que hi haurà durant molt de temps, el carrer Major. En aquestes primeres cases s’instal·laran, sobretot, modestos artesans que faran feines relacionades amb l’agricultura (ferrer, fuster…).

patrimoni_antic-ajuntament-inundat.jpg

El segle XIX, la plaça ja està definida. L’any 1858 es va tancar el pas de carruatges en el tram central de la Plaça i el 1861 s’hi van plantar 26 acàcies (els arbres actuals són plataners). La Plaça comença a tenir una activitat important, oferint els elements necessaris per convertir-se en un punt de trobada de la població, especialment els dies de festa, quan la gent, en sortir de missa (els homes abans han anat a cal barber), aprofita per comprar i fer petar la xerrada a la taverna o a la botiga. Des del seu origen, la plaça mantindrà aquest caire dinàmic, i serà escenari de festes, centre del mercat ambulant, lloc de reunió. Tots els matins hi havia parades de carn d’aviram, de llet i aliments diversos. Els caps de setmana es venia roba, bijuteria, sabates i estris agrícoles.

patrimoni_placa-de-la-vila-bn.jpg

L’any 1916 es va pavimentar el tram central de la Plaça, en part degut a les pressions que van fer un grup de joves afeccionats al patinatge. El 1930 es renovà i amplià la pavimentació.

La Plaça es converteix en el centre neuràlgic de la població amb la concentració dels serveis més importants: la renovada casa consistorial (1905), la central telefònica (1918), el mercat municipal (1921), locals d’esbarjo (el cafè del Pont, el Modern, la sala d’en Bou, el bar Piculín, etc.), barberies, comerços, entre d’altres locals.

Als anys quaranta i, sobretot, als cinquanta el nucli urbà creix i la Plaça es consolida. Més endavant, a partir del creixement espectaculars dels seixanta i setanta, s’obren noves artèries de la ciutat que concentren activitats econòmiques, empresarials, lúdiques, etc. Des de llavors i fins a l’actualitat la Plaça continua mantenint el seu paper simbòlic en la història pratenca i reforçat per la presència de l’Ajuntament.

La darrera reforma de la Plaça acabà l’any 1992 amb les obres de transformació en illa de vianants.

La plaça de la Vila, per la seva importància com a centre polític, administratiu, econòmic i social, ha canviat en diferents ocasions de nom en funció de les diferents conjuntures polítiques. Així s’ha denominat en altres moments: de la constitució, de Francesc Macià, del Caudillo. La denominació actual s’acordà per ple municipal de 2 d’octubre de 1979.